
An artist’s impression of townhouses facing Unwin Street. Images: Turco.
Village Building Company has revised its planned Fetherstone housing development on the old AFP site in Weston, submitting a fresh DA for 168 townhouses on a 3.7-hectare rear block, and flagging child and health-care facilities, and a potential retirement village on the remainder.
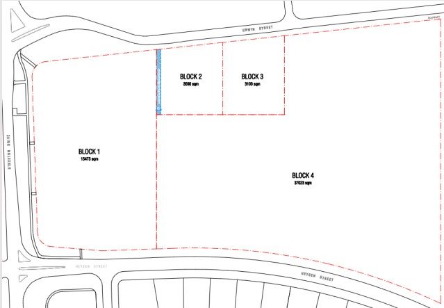
A DA for 337 dwellings across the entire 5.8 ha site was approved in May 2023, but Village successfully applied this year to subdivide the land into four parcels, and took another look at what would work on the sloping site.
Development manager George Danassis said the revised scheme responded better to the site’s terrain and aligned with broader market demand while retaining key elements of the original design, such as through-site vehicular access, pocket parks and residential amenities.
Mr Danassis said Village had conducted extensive market engagement since the original DA was submitted and had identified the opportunity for a childcare centre and a health centre in Weston on two smaller blocks on Unwin Street, near Orana Steiner School and the Islamic School of Canberra.
“These lots were subdivided from the site earlier this year,” he said.
“The other two lots are suitable for residential development, and our current proposal addresses the first of these, which will comprise 168 townhomes.
“The remaining site closest to Streeton Drive is suitable for retirement living or other residential uses, and will be developed separately.”

The Fetherstone subdivision. Image: Turco.
The plans approved in 2023, designed by Stewart Architecture, were for a mix of townhouses and apartments on the site, bounded by Unwin Street, Streeton Drive and Heysen Street.
Mr Danassis said the new proposal from Turco & Associates retained key landscape elements – including natural play features, sheltered barbecue areas, and a community garden – but introduced green walls to strengthen living infrastructure and support Canberra’s urban development and renewal goals.
He said the proposed design includes 504 trees in total, with 32 large trees, 49 medium-sized trees and 423 small trees.
The total canopy tree coverage with proposed and existing trees would be 9417 sqm or 25 per cent of the allotment.
The proposal was for a mix of two (87) and three-bedroom (81) townhouses across 17 buildings, with flexible floor plans including the addition of a study room and/or a flexi living area.
Village will launch its sales campaign on 8 November. The two-bedroom townhouses start from $774,900, and the three-bedroom version from $909,900, which should prove attractive to first-home buyers accessing the Commonwealth’s new Home Guarantee Scheme.
Village says all homes have been designed to receive a minimum of four hours of direct sunlight between 9 am and 3 pm at the winter solstice (21 June), ensuring natural light, passive solar heating and year-round comfort, while also adhering to livable housing guidelines.
They will feature light-filled open-plan living and dining areas, kitchens with quality appliances, generous private courtyards, secure parking and additional storage.
A choice of three interior finish schemes are available – Nix (light and airy), Carbo (sophisticated and bold) and Terra (warm and earthy).




The new development will have lower traffic volumes than the previous proposal, supported by a new through-site internal driveway that evenly distributes vehicle flow and improves safety within the site and surrounding streets.
The DA’s Traffic Report says the development will generate 1089 vehicle movements per day and 109 per hour in peak times.
Driveways are proposed on Unwin Street and Heysen Street.
Each townhouse is provided with either a single or double garage at basement or ground-floor level, with 292 spaces for residents, 42 for visitors (including four on-street carparks on Unwin Street), two accessible spaces and 18 bicycle spaces.
Seven waste enclosures will service the 17 buildings.
A 1.8-metre-high Colorbond fence is proposed along the western and eastern boundaries of the site.
The DA follows a period of community engagement, including a recent information pop-up at Cooleman Court where locals were invited to preview and comment on concept designs, interior finishes and landscaping plans.
Mr Danassis said there had been strong local engagement and enthusiasm for Fetherston.
“This project has been thoughtfully designed to complement the existing character of Weston while providing modern housing options at a range of different price points,” he said.
Principal architect Michael Giese of Turco & Associates said Fetherston’s design was focused on being an extension of Weston’s established identity while creating a precinct where all dwellings address new green spaces that enhance and extend the neighbouring Fetherston Gardens.
“Fetherston is about connection – to nature, to community and neighbours,” he said.
“It has been designed to be a complementary mixture of architectural styles to give each resident a sense of individual identity within the precinct, whilst providing a low-maintenance, modern housing option within the existing suburb.”
Mr Danassis said that, subject to DA approval, construction will be in stages, commencing in early 2026 and concluding with the final stage in late 2028.
The first release, Stage 1, was expected to be completed in late 2026/early 2027. Stage 2 is expected in early-mid 2027.
It was expected that the other three blocks would have servicing completed by early next year, with the planning process to start after that.
Comment on the DA closes on 14 November.


















